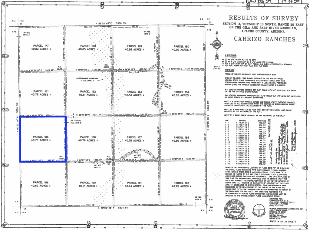
40.73 Acres in Carrizo Ranch with Maintained Road Access
30 minutes to town
Description
40.73 acres (Lot #185) in northern Arizona’s Corrizo Ranches with end-of-road location and maintained road access. Several nearby parcels in the area are developed with homesteads. The state well database shows neighbors well at 15 GPM. Level-to-rolling terrain for easy building. The land conveniently has fencing installed on the east and west sides.
Whether you’re looking for a full-time homestead or a seasonal retreat away from the cold winters, this is an amazing opportunity to own a large, yet affordable piece of Arizona. The fact that the roads are privately maintained is an excellent asset to ensure your investment is secure.

Property Attributes
County: Apache, AZ
Parcel Number: 203-82-185
Legal Description: Corrizo Ranches, Lot 185
Utilities: None. The State’s well log database shows the neighbor’s well (Lot 181) produces 15 gallons-per-minute with a static water level of 143 ft and a total depth of 450 ft.
Mobile Homes Allowed: Yes
HOA: Yes, Corrizo Ranches. Annual dues of $192.50 cover road maintenance.
Livestock Allowed: Yes
Nearest Town: 30 min to St. Johns (population 3,300). St Johns has all the small-town amenities expected including groceries, restaurants, gas, hardware supply stores.
Nearest Major City & Airport: 4 hr 30 min to Phoenix and 4 hr to Albuquerque, NM
Zoning: Agricultural General Zone. More info can be found on pages 23-26 of this document:
https://tb2cdn.schoolwebmasters.com/accnt_591117/site_591118/Documents/Apache-County-Zoning-Ordinance-amended.pdf
Hunting: GMU 2B
Taxes: $97.20
Terrain – Rolling
Elevation: 5,920–5,960 ft
Directions
Google Maps link: https://maps.app.goo.gl/1BkLVFCBbFxBWwUFA
From this point, follow the road to the end, and you’ll be at the SE corner of the property. Use our maps and GPS for guidance.

GPS Coordinates

Plat Map

Hunting
More details can be found in this document:
https://live-azgfd-main.pantheonsite.io/wp-content/uploads/2022/06/GMU2B-usingPdfTemplate.pdf

Nearby Attractions: Petrified Forest National Park – 1 hr 15 min

Nearby Attractions: Pintail Lake Wildlife Area – 1 hr 30 min

Nearby Attractions: Sunrise Ski Park Resort – 1 hr 40 min

Nearby Attractions: Canyon de Chelly National Monument – 2 hr 45 min

Have questions? Ready to purchase?
Simply call or text Steve at 484-246-5436 or email us at [email protected]. We pride ourselves on being responsive to the satisfaction of our customers and typically return all calls and messages within the hour. We’ll be happy to explain what to expect with the closing process and answer any questions.
DISCLAIMER: Any information (including, but not limited to, all real property images, descriptions, pricing, locations, and availability) made available in this communication, by or through this website is provided for informational purposes and is but in no way guaranteed. The information is believed to be accurate and complete, however it is subject to change and/or correction without notice. Buyer is responsible for verifying all information with county public records and appropriate County department where the real property is located, including what can and cannot be done with the property. Buyer will need to work with the County to obtain the proper permits if needed. Buyer will also need to confirm the availability of any utilities needed or serviced on the property. Seller makes no warranties or representations about the real property, its condition, or what can be built on the property. Buyer is responsible for conducting due diligence. If/when you visit any of our properties, you are visiting at your own risk and release Horizon Land Sales (aka FI Properties, LLC) and anyone associated from any and all claims or liabilities.

















