40 acres in Sundance Ranches with Easement Access and Mountain Views
30 minutes to Deming
Payment Options
*The property is secured when both a deposit and a contract are signed. Please only submit a deposit when ready to sign the contract to purchase. If purchasing with owner financing, we charge a $300 flat fee to prepare the documents and please note that there shall be no living on or improvements made to the property until the land is paid off. The loan balance can be prepaid anytime without penalty.
Property Attributes
County: Luna, NM
Parcel Number: 3037148198466
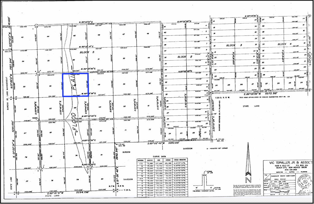
Legal Description: Sundance Ranches Block 5 Lot 57
Utilities: None – building would be off-grid. Would be a well for water and a septic for waste.
HOA: None
Zoning: None (outside city limits)
Nearby Town: 30 minutes to Deming (Pop: 14,900)
Nearest Major Cities & Airports: 1 hr 35 min to El Paso, TX (Pop: 681,000), 3 hr 35 min to Tucson, AZ (Pop: 554,000), and 4 hr to Albuquerque (Pop: 560,000)
Taxes: $85.86
Terrain: Level
Elevation: 4,080 ft

Description
Don’t miss out on this incredible opportunity to own 40 acres with Florida Mountain views and legal easement access. Conveniently located just 30 minutes southeast of Deming and the Interstate 10 corridor, this property is perfect for someone looking for residential or recreational acreage in a rural setting, yet close enough to all the services you need.
There is No HOA, and with the property outside of city limits, there is no zoning code – build whatever you wish! Stick-built, mobile homes, manufactured homes, camping, and livestock are all options. Several nearby parcels have good producing wells.
Looking for some extra room to roam? The property is near thousands of acres of State and Federal public recreational land. Furthermore, Rockhound State Park, City of Rocks State Park, and Pancho Villa State Park are each just an hour away!
Whether you’re interested in a full-time residence, seasonal retreat, RV or hunting base camp, horseback riding, ATV adventures, or seeking a long-term investment, this property checks all the boxes! Contact us today!

Adjacent to Public Lands – Your Gateway to the Outdoors!
This property has the benefit of being near 50,000+ acres of the Florida Mountains within public BLM land to the west with thousands more acres of State Trust land that can be accessed to the south and east.
As a landowner adjacent to BLM property, you can access undeveloped areas to hike, camp, hunt, or simply enjoy the peace and solitude of nature. Owning land that near federally managed property not only gives you unmatched recreational access but also helps protect your privacy and preserve the natural character of your surroundings. Since public lands are unlikely to be developed, your views remain open and your connection to nature uninterrupted.
Whether you’re seeking a basecamp for outdoor adventures, a private retreat with room to roam, or a long-term investment with rare locational advantages, this parcel offers an opportunity few others can match.
Google Maps Link for Navigation: https://maps.app.goo.gl/bYeje8BpbksXcbqC8
From this point, follow the road west 1 mile, and the property will be on your left.
Directions: From Deming, take NM 549 east. In 12.8 miles, turn right onto Franklin Rd SE. In 5 miles turn left onto Coyote Rd SE. In 1 mile turn right onto Marana Rd. In 4 miles turn right onto Hondale Rd. In ½ mile turn right on Michigan Drive SE. In ¼ mile turn left. From this point, continue west for one mile and the property will be on your left. Use our maps and GPS coordinates for guidance.

GPS

Plat Map

Well Map

Hunting
The property is within Game Management Unit 25 which is home to deer but more notably the exotic Persian Ibex – renewed to be one of the wildest animals you could ever try and hunt. They are 100% free-range in the wilds of the Florida Mountains a few miles east of the property. More on the Ibex here: https://wildlife.dgf.nm.gov/download/persian-ibex/

City of Deming

Deming is the County Seat for Luna County with a population of 14,000. Luna County is as unique as you would expect with avid rockhounding, robust agriculture, and manufacturing opportunities making the community a true gem.
The Florida Mountains – named after the wild poppies that grow rampant in the Spring after a good winter, turning the mountain range yellow- are home to exotic Persian Ibex offered as a gift to the United States in 1970.
If you’re looking to do something indoors, Deming is just the place to stop in. With a first class History Museum you can learn how wild the West really was. Deming is also home to the largest winery in the State, Lescombes Family Winery.
Deming, Luna County has a culture rich in history. Enjoy the community at one of two major Annual Events: The Deming Duck races and the Luna County Salsa Festival.
Nearby Attractions: Florida Mountains Wilderness – 30 min

Nearby Attractions: Rockhound State Park – 35 min

Nearby Attractions: City of Rocks State Park – 1 hr

Nearby Attractions: Pancho Village State Park – 1 hr 10 min

Nearby Attractions: Lake Roberts – 2 hr

Nearby Attractions: White Sands National Park – 2 hr

Have questions? Ready to purchase?
Simply call or text Steve at 484-246-5436 or email us at [email protected]. We pride ourselves on being responsive to the satisfaction of our customers and typically return all calls and messages within the hour. We’ll be happy to explain what to expect with the closing process and answer any questions.
DISCLAIMER: Any information (including, but not limited to, all real property images, descriptions, pricing, locations, and availability) made available in this communication, by or through this website is provided for informational purposes and is but in no way guaranteed. The information is believed to be accurate and complete, however it is subject to change and/or correction without notice. Buyer is responsible for verifying all information with county public records and appropriate County department where the real property is located, including what can and cannot be done with the property. Buyer will need to work with the County to obtain the proper permits if needed. Buyer will also need to confirm the availability of any utilities needed or serviced on the property. Seller makes no warranties or representations about the real property, its condition, or what can be built on the property. Buyer is responsible for conducting due diligence. If/when you visit any of our properties, you are visiting at your own risk and release Horizon Land Sales (aka FI Properties, LLC) and anyone associated from any and all claims or liabilities.




















